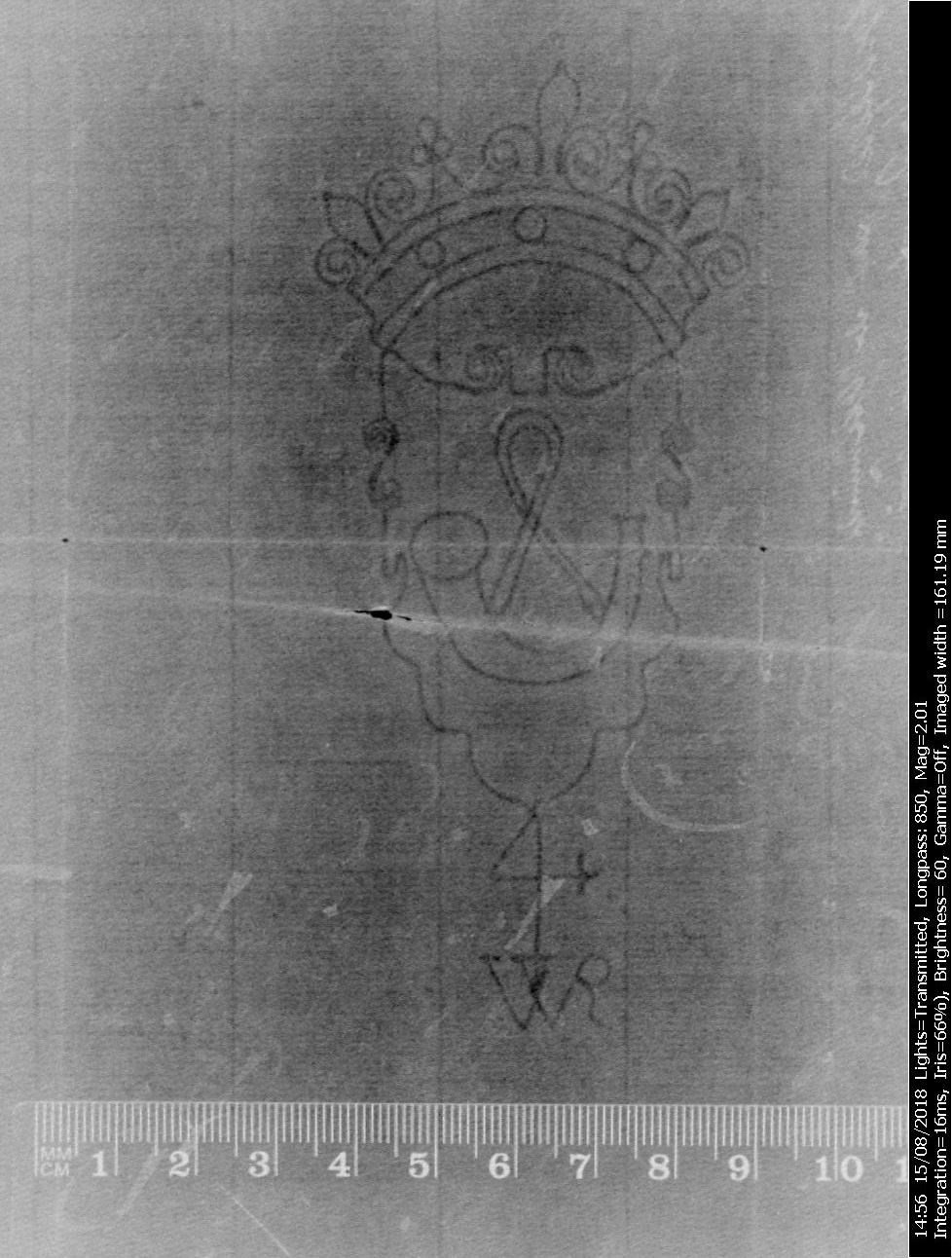
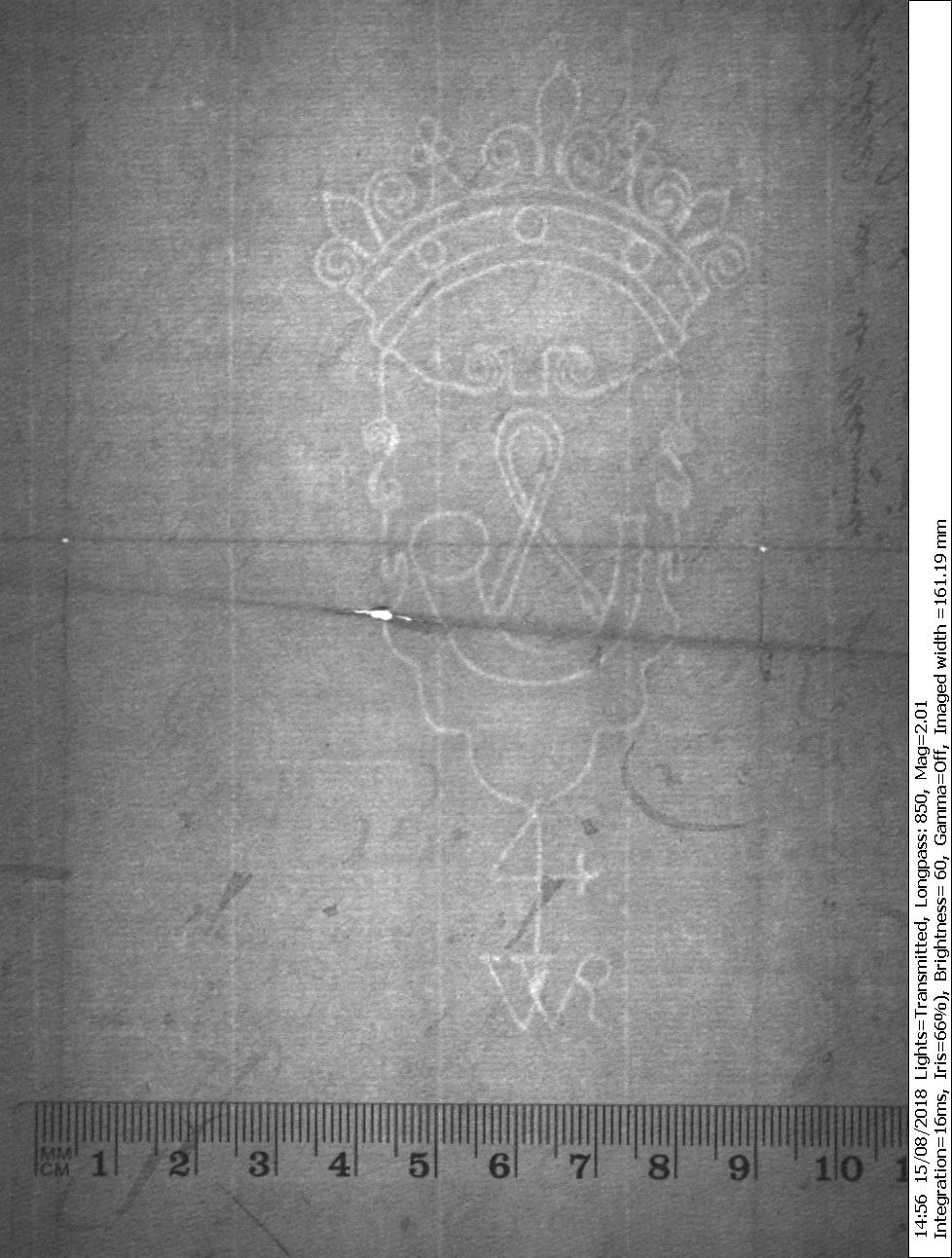
260b.1      



research: Chiara Palandri, Nina Hesselberg-Wang       web implementation: Emanuel Wenger