Nº Filigrana: 000111
   
FILIGRANA HOJA DOCUMENTO

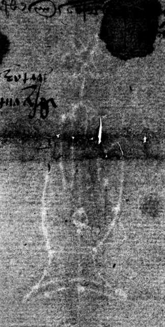
Tipo de filigrana: Sencilla
Parte estudiada: Toda la filigrana
Código del Motivo: B.02.02.03
Descripción: Mano con cuatro dedos juntos y el pulgar separado. Encima flor de seis puntas
Estructura: Tradicional de líneas
Altura (mm): 80 Anchura (mm): 30
Tipo de papel: Verjurado
Posición en la hoja: Izquierda centro
Nº de corondeles en la hoja: 13
Distancia entre corondeles:
Situada entre el corondel 3 y el corondel 5
Posición en relación al texto: Perpendicular al texto hacia arriba
Origen de los datos: Datos obtenidos del original



Autor de los datos de este registro: María Dolores Díaz de Miranda Macías
Tipo de uso: Papel para escribir
Estado de la hoja: Cortados todos los bordes
Altura de la hoja: 305
Anchura de la hoja: 440
Color de la hoja: Natural
Estado de conservación: Bueno

Institución: Archivo Municipal de Oviedo.
Fondo: Fondo Municipal.
Signatura: C-19-13.
País de uso del papel: España
Lugar de uso del papel: Laguna, Asturias.
Tipo de uso: Libro manuscrito
Fecha de uso del papel (año): 1499
Última fecha de uso del papel (año): 1499
Modo de datación: Tomada de la hoja
Autor: Ayuntamiento de Oviedo.
Título/Resumen: Capitulaciones entre Alonso García de Carrión, procurador de Oviedo, y la Condesa de Luna sobre el portazgo a pagar por los vecinos de Oviedo en Pola de Gordón y otros territorios suyos, capitulaciones tils. Rechazados posteriormente por la ciudad de Oviedo.

La investigación fue realizada por María Dolores Díaz de Miranda Macías y Ana María Herrero Montero. La presentación de la página se llevó a cabo por Gabriel García y Emanuel Wenger (Viena, ÖAW).