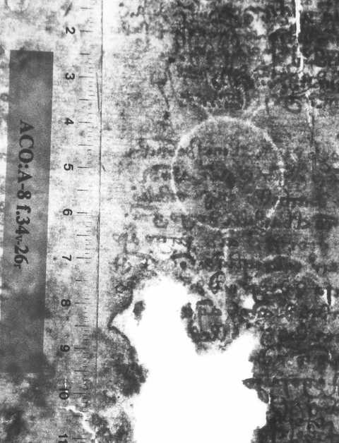
Nº Filigrana: 000170
   
FILIGRANA HOJA DOCUMENTO

Tipo de filigrana: Sencilla
Parte estudiada: Toda la filigrana
Código del Motivo: G.04.03.00
Descripción: Vegetal con corona: Granada
Estructura: Tradicional de líneas
Altura (mm): ? Anchura (mm): 45
Tipo de papel: Verjurado
Posición en la hoja: Derecha centro
Nº de corondeles en la hoja: 6
Distancia entre corondeles:
Situada entre el corondel 4 y el corondel 6
Posición en relación al texto: Perpendicular al texto hacia arriba
Origen de los datos: Datos obtenidos del original
Información adicional: Son visibles las puntadas que unen la filigrana a la verjura. Se ve muy mal todo por estar en malísimo estado de conservación. Filigrana incompleta por grandes pérdidas de papel.



Autor de los datos de este registro: María Dolores Díaz de Miranda Macías
Tipo de uso: Papel para escribir
Estado de la hoja: Cortado borde izquierdo, derecho e inferior
Altura de la hoja: 255
Anchura de la hoja: 224
Color de la hoja: Natural
Estado de conservación: Malo
pH del papel: 6,89
Indicador de pH: Por electrodo de contacto

Institución: Archivo de la Catedral de Oviedo.
Signatura: A-8,2
País de uso del papel: España
Lugar de uso del papel: Oviedo, Asturias.
Tipo de uso: Libro manuscrito
Fecha de uso del papel (año): 1467
Última fecha de uso del papel (año): 1468
Modo de datación: Tomada de la hoja
Autor: Cabildo de la catedral de Oviedo
Título/Resumen: Libro de Acuerdos Capitulares de la Catedral de Oviedo.

La investigación fue realizada por María Dolores Díaz de Miranda Macías y Ana María Herrero Montero. La presentación de la página se llevó a cabo por Gabriel García y Emanuel Wenger (Viena, ÖAW).