Nº Filigrana: 000207A
   
FILIGRANA HOJA DOCUMENTO

Tipo de filigrana: Doble
Parte estudiada: Izquierda
Código del Motivo: U.03.02.02
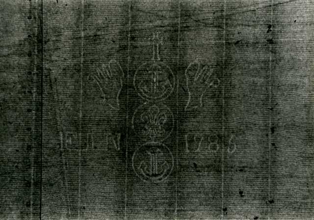
Descripción: Tres círculos, el central tiene en su interior la flor de lis y los otros dos un ancla, están coronados por una cruz y franqueados a derecha y a izquierda por una mano. Se indica que es un papel de buena calidad “FIN” y la fecha de “1786”.
Estructura: Tradicional de líneas
Altura (mm): 82 Anchura (mm): 95
Tipo de papel: Verjurado
Posición en la hoja: Izquierda centro
Nº de corondeles en la hoja: 18
Distancia entre corondeles:
Situada entre el corondel 3 y el corondel 8
Posición en relación al texto: Perpendicular al texto hacia arriba
Origen de los datos: Datos obtenidos del original



Autor de los datos de este registro: María Dolores Díaz de Miranda Macías
Tipo de uso: Papel de guardas
Estado de la hoja: Cortados todos los bordes
Altura de la hoja: 288
Anchura de la hoja: 431
Color de la hoja: Natural
Estado de conservación: Restaurado
pH del papel: 7,43 (antes de restaurar)
Indicador de pH: Por electrodo de contacto

Institución: Archivo de Juntas del Principado de Asturias.
Signatura: 78
País de uso del papel: España
Lugar de uso del papel: Oviedo, Asturias.
Tipo de uso: Libro manuscrito
Fecha de uso del papel (año): 1783
Modo de datación: Tomada de la hoja
Título/Resumen: Libro de las quintas y diputaciones del Principado de Asturias.

La investigación fue realizada por María Dolores Díaz de Miranda Macías y Ana María Herrero Montero. La presentación de la página se llevó a cabo por Gabriel García y Emanuel Wenger (Viena, ÖAW).