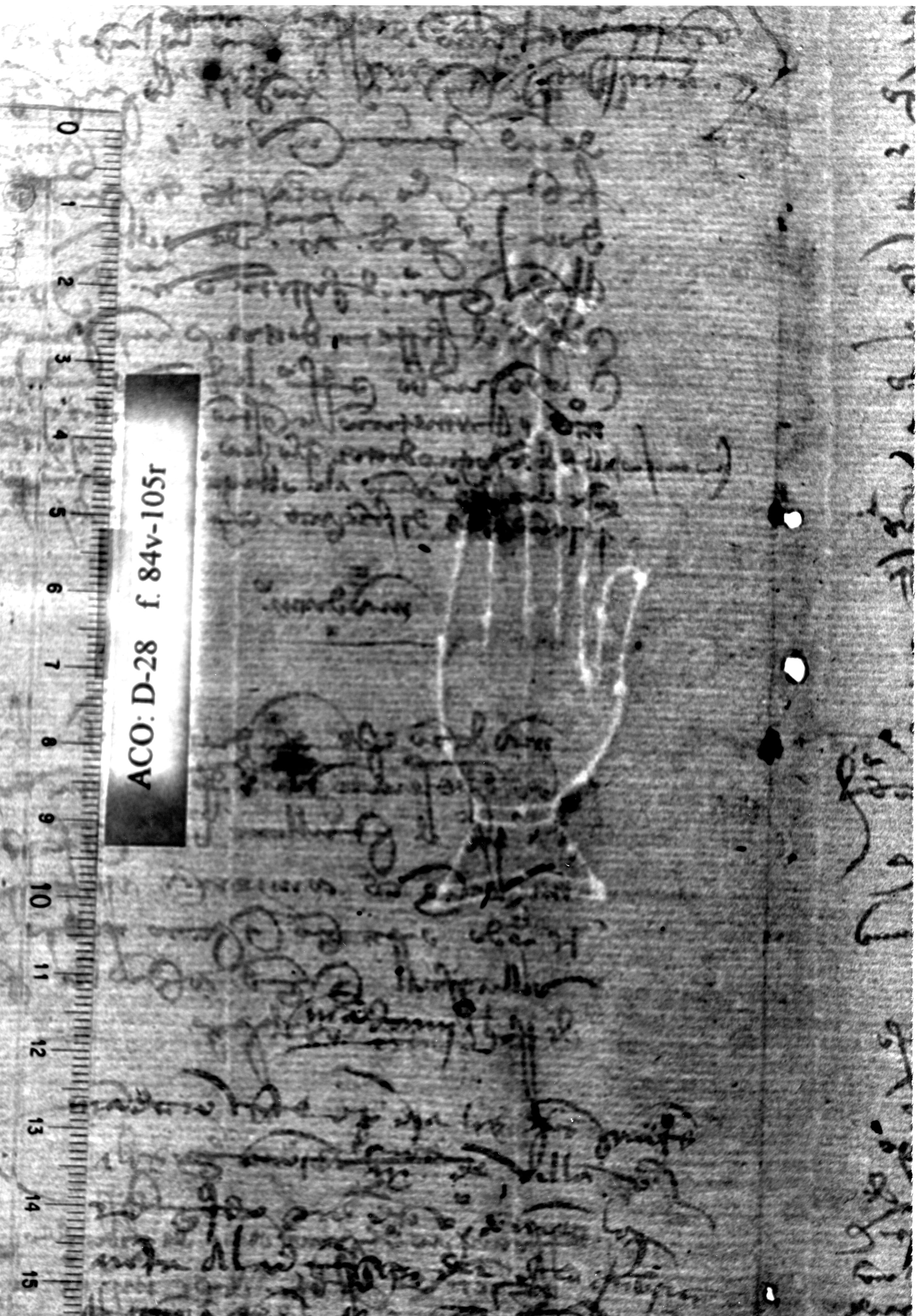
Nº Filigrana: 000344
   
FILIGRANA HOJA DOCUMENTO

Tipo de filigrana: Sencilla
Parte estudiada: Toda la filigrana
Código del Motivo: B.02.02.03
Descripción: Mano con cuatro dedos juntos y pulgar separado. Encima flor de seis puntas
Estructura: Tradicional de líneas
Altura (mm): 86 Anchura (mm): 28
Tipo de papel: Verjurado
Posición en la hoja: Izquierda centro
Nº de corondeles en la hoja: 6
Distancia entre corondeles:
Situada entre el corondel 1 y el corondel 3
Posición en relación al texto: Perpendicular al texto hacia arriba
Origen de los datos: Datos obtenidos del original
Información adicional: Son visibles las puntadas que unen la filigrana a la verjura. Las puntadas del corondel de apoyo son distintas a las de los demás corondeles.



Autor de los datos de este registro: María Dolores Díaz de Miranda Macías y Ana María Herrero
Estado de la hoja: Cortado borde izquierdo
Altura de la hoja: 311
Anchura de la hoja: 224
Color de la hoja: Natural
Estado de conservación: Bueno
pH del papel: 8,48

Institución: Archivo de la Catedral de Oviedo.
Signatura: D-28
Nº de folio o página: 84v-105r
País de uso del papel: España
Lugar de uso del papel: Oviedo, Asturias.
Fecha de uso del papel (año): [1/2 s.XV]
Última fecha de uso del papel (año): [1/4 s. XV]
Modo de datación: Sin fecha, ni posibilidad de estimarla
Título/Resumen: Libro de Acuerdos Capitulares de la Catedral de Oviedo.

La investigación fue realizada por María Dolores Díaz de Miranda Macías y Ana María Herrero Montero. La presentación de la página se llevó a cabo por Gabriel García y Emanuel Wenger (Viena, ÖAW).