Bibliographic Society The Scheide Library Koninklijke Bibliotheek

    WIGB - Watermarks in Incunabula Printed in Great Britain    
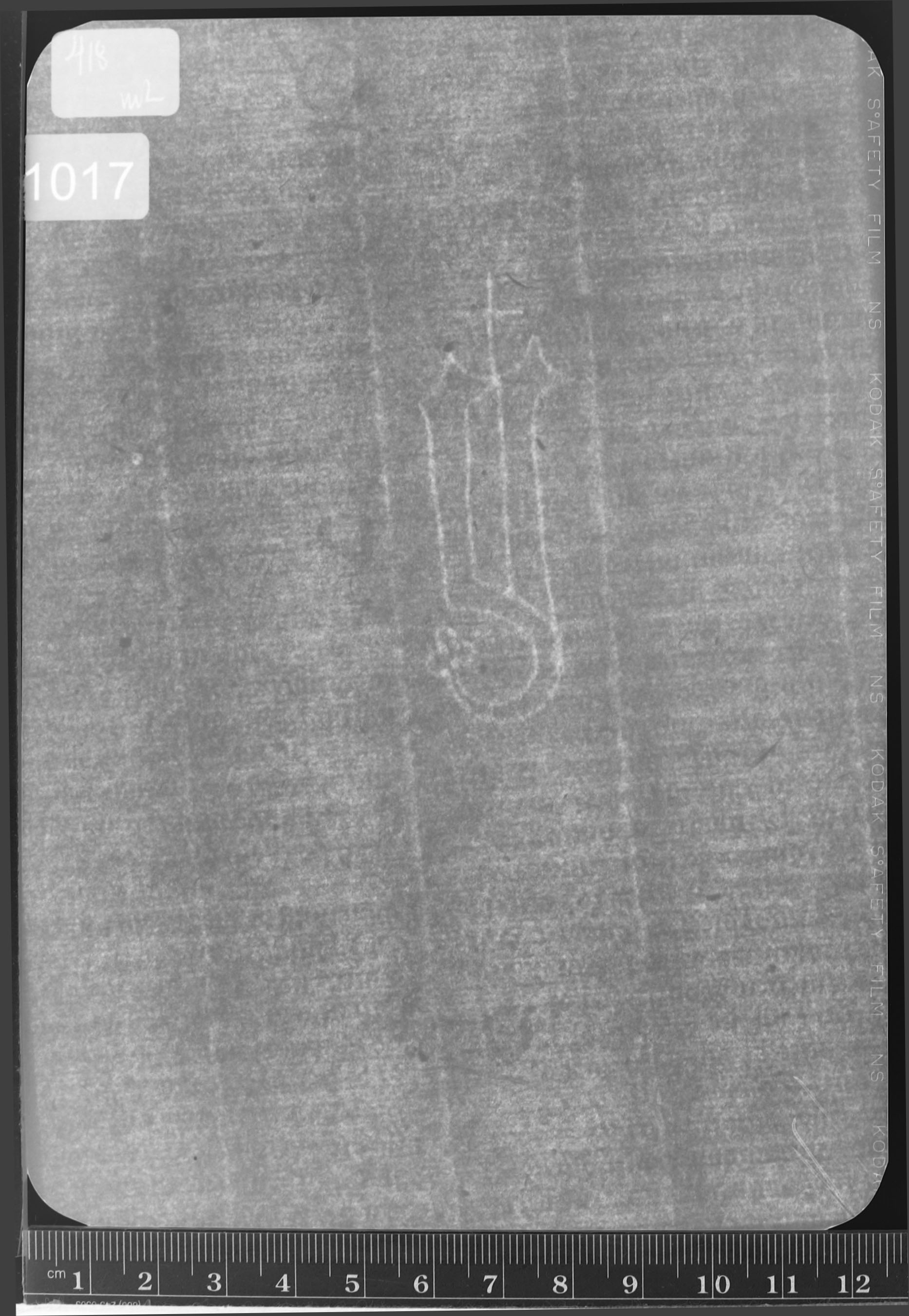
Reference number: 1017
Watermark description: letter y, latin cross, tail right
Bernstein description: letters/digits - one letter - letter y - latin cross - tail right
Mainclass IPH: W
Maingroup description: letter y
Position: left
Identical watermarks: BMC XI 423: Caxton Median 1, 2, 3, 4

Twins: 1016
Reproduction: beta-radiograph

Depository: Pierpont Morgan Library, New York, U.S.A.
Place of printing: Westminster
Date: 14[8]3, 2 Sep
Year: 1483 -1483
Printer: William Caxton
Shelfmark: PML
Folio: c8
Papersize: median
Size: fo
Number of leaves: 222
Number of sheets: 111
Bibliographic references: Duff 166

The research was conducted by Paul Needham (Princeton, Scheide Library). The project was funded by the Bibliographical Society (London). The data were inserted in the database by Janneke Verdijk under supervision of Gerard van Thienen, with advisory support of Marieke van Delft (TheHague, KB). The web presentation was implemented by Emanuel Wenger (Vienna, ÖAW).