Bibliographic Society The Scheide Library Koninklijke Bibliotheek

    WIGB - Watermarks in Incunabula Printed in Great Britain    
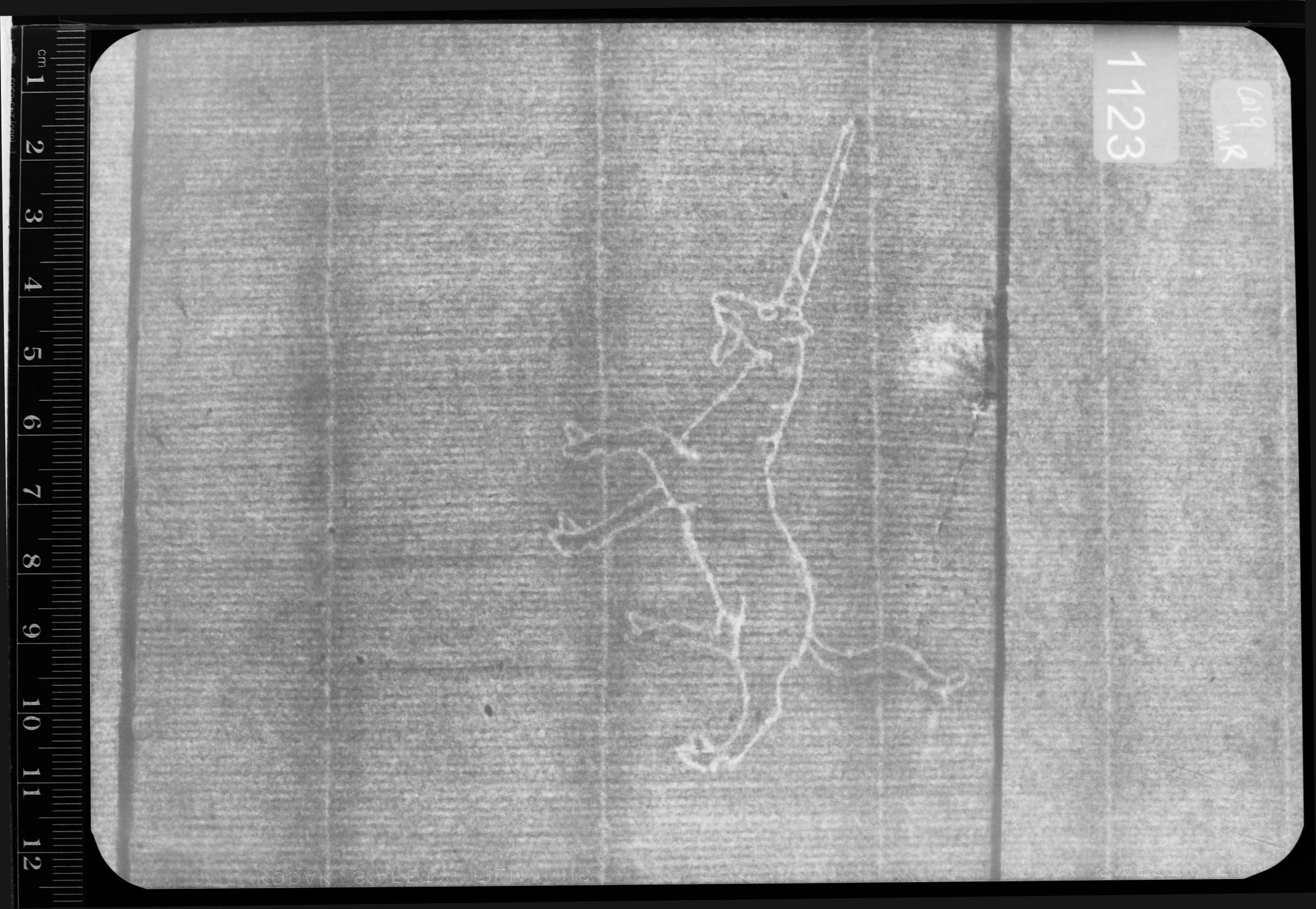
Reference number: 1123
Watermark description: unicorn, vertical, to left
Bernstein description: fabulous creature - unicorn - detached - entire figure - vertical - to left
Mainclass IPH: F
Maingroup description: unicorn
Position: right
Identical watermarks: BMC XI 418: Caxton 60, 63; BMC XI 419: Caxton 73, 74, 75, 76, 77, 78

Reproduction: beta-radiograph

Depository: Pierpont Morgan Library, New York, U.S.A.
Place of printing: Westminster
Date: 1480
Year: 1480 -1480
Printer: William Caxton
Shelfmark: PML 678
Folio: d1
Papersize: chancery
Size: fo
Number of leaves: 30
Number of sheets: 15
Bibliographic references: Duff 097 + 113

The research was conducted by Paul Needham (Princeton, Scheide Library). The project was funded by the Bibliographical Society (London). The data were inserted in the database by Janneke Verdijk under supervision of Gerard van Thienen, with advisory support of Marieke van Delft (TheHague, KB). The web presentation was implemented by Emanuel Wenger (Vienna, ÖAW).