Bibliographic Society The Scheide Library Koninklijke Bibliotheek

    WIGB - Watermarks in Incunabula Printed in Great Britain    
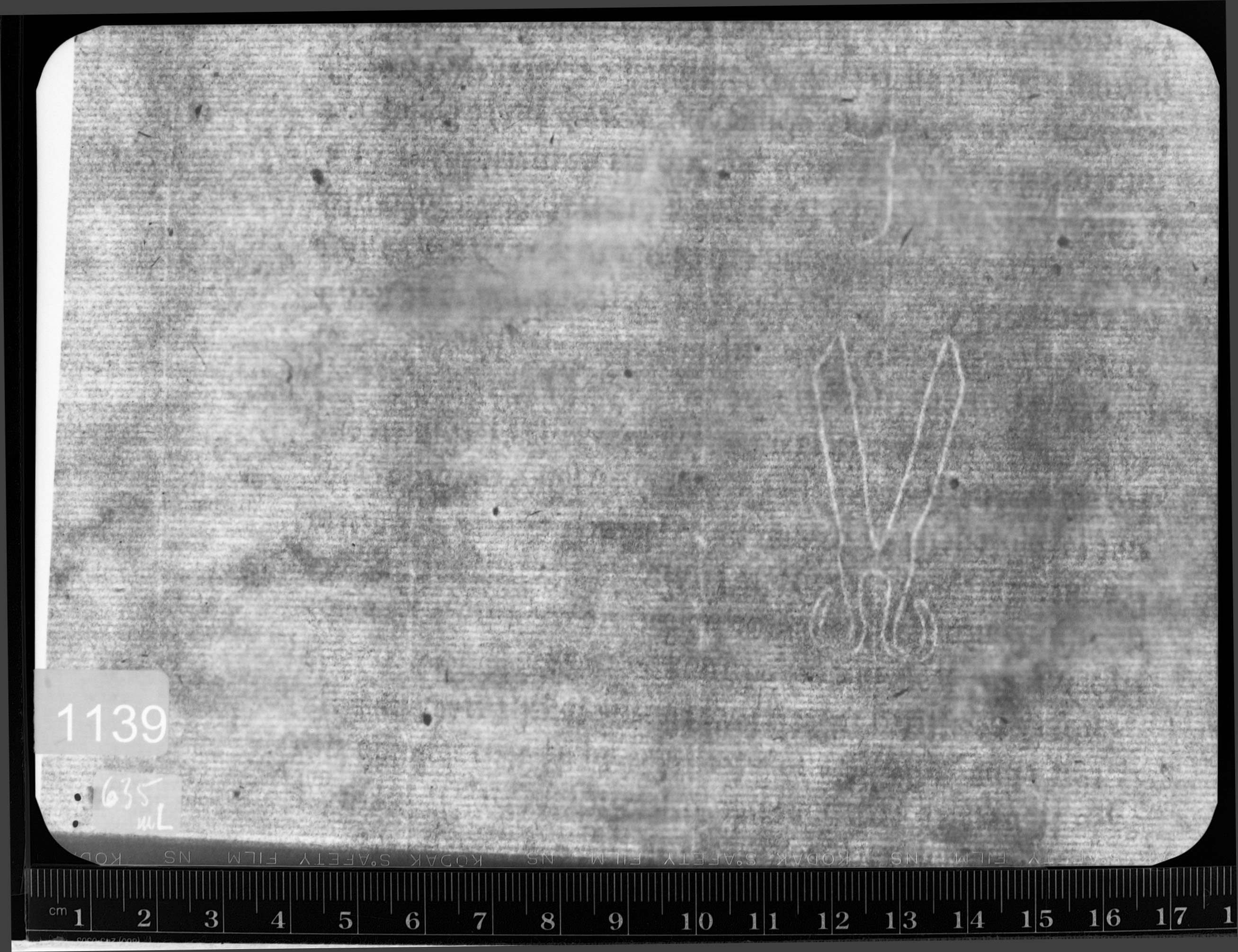
Reference number: 1139
Watermark description: scissors, letter I, III
Bernstein description: realities - tools - pair of scissors - letter I - III
Mainclass IPH: N
Maingroup description: scissors
Position: left
Identical watermarks: BMC XI 418: Caxton 48, 50, 51

Reproduction: beta-radiograph

Depository: Pierpont Morgan Library, New York, U.S.A.
Place of printing: [Westminster]
Date deduced: [about 1478]
Year: 1478 -1478
Printer: William Caxton
Shelfmark: PML
Folio: (11)5
Papersize: chancery
Size: fo
Number of leaves: 94
Number of sheets: 47
Bibliographic references: Duff 047

The research was conducted by Paul Needham (Princeton, Scheide Library). The project was funded by the Bibliographical Society (London). The data were inserted in the database by Janneke Verdijk under supervision of Gerard van Thienen, with advisory support of Marieke van Delft (TheHague, KB). The web presentation was implemented by Emanuel Wenger (Vienna, ÖAW).