Bibliographic Society The Scheide Library Koninklijke Bibliotheek

    WIGB - Watermarks in Incunabula Printed in Great Britain    
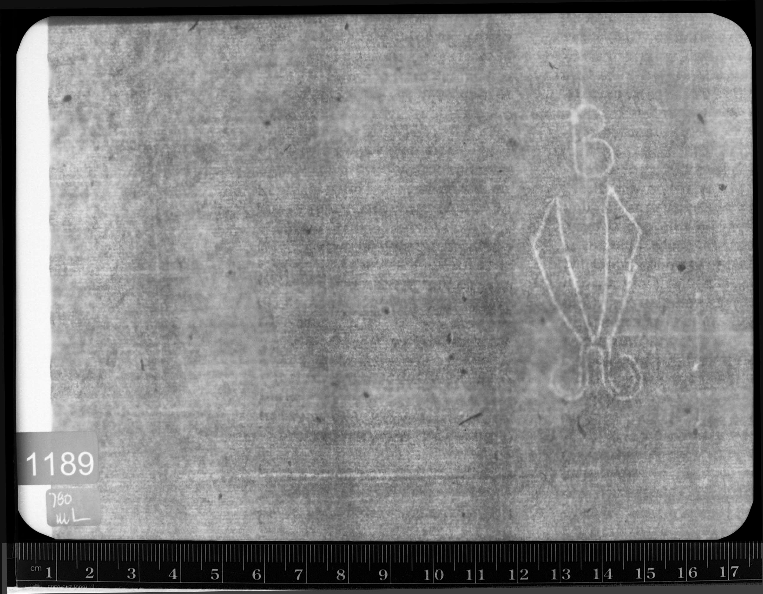
Reference number: 1189
Watermark description: scissors, letter B to right, III
Bernstein description: realities - tools - pair of scissors - letter B to right - III
Mainclass IPH: N
Maingroup description: scissors
Position: left
Identical watermarks: BMC XI 428: St. Albans 9, 10, 11, 12

Reproduction: beta-radiograph

Depository: Rosenbach Museum & Library, Philadelphia PA, U.S.A.
Place of printing: St. Albans
Date: 1481
Year: 1481 -1481
Printer: [Schoolmaster Printer]
Shelfmark: Rosenbach
Folio: y4
Papersize: chancery
Size: fo
Number of leaves: 174
Number of sheets: 87
Bibliographic references: Duff 237

The research was conducted by Paul Needham (Princeton, Scheide Library). The project was funded by the Bibliographical Society (London). The data were inserted in the database by Janneke Verdijk under supervision of Gerard van Thienen, with advisory support of Marieke van Delft (TheHague, KB). The web presentation was implemented by Emanuel Wenger (Vienna, ÖAW).