Bibliographic Society The Scheide Library Koninklijke Bibliotheek

    WIGB - Watermarks in Incunabula Printed in Great Britain    
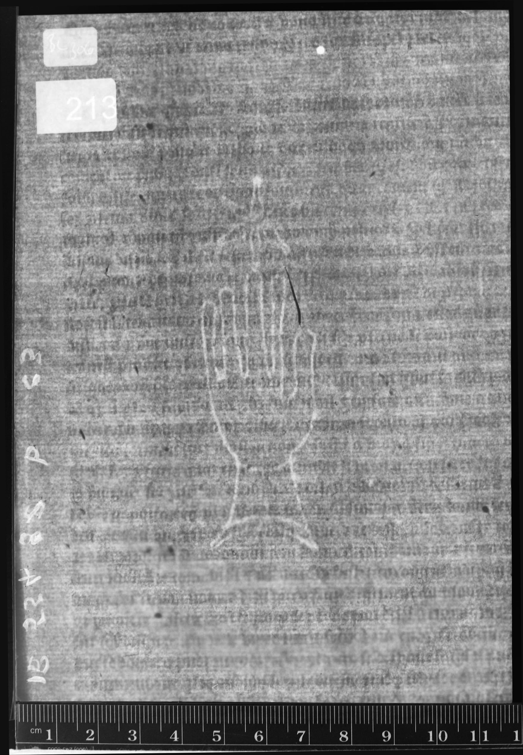
Reference number: 213
Watermark description: hand, star/flower, six-pointed, 1-2, thumb left, III
Bernstein description: figures, anthropomorphic - hand/glove - with flower/leaf/star - hand - star/flower - six-pointed - 1-2 - thumb left - III
Mainclass IPH: A
Maingroup description: hand
Position: left
Identical watermarks:

Twins: 214
Reproduction: beta-radiograph

Depository: British Library, London, Great Britain
Place of printing: [London]
Date deduced: [about 1493]
Year: 1493 -1493
Printer: [Richard Pynson]
Shelfmark: BL IB.55488b
Folio: c3
Papersize: chancery
Size: fo
Number of leaves: 52
Number of sheets: 26
Bibliographic references: Duff 425

The research was conducted by Paul Needham (Princeton, Scheide Library). The project was funded by the Bibliographical Society (London). The data were inserted in the database by Janneke Verdijk under supervision of Gerard van Thienen, with advisory support of Marieke van Delft (TheHague, KB). The web presentation was implemented by Emanuel Wenger (Vienna, ÖAW).