Bibliographic Society The Scheide Library Koninklijke Bibliotheek

    WIGB - Watermarks in Incunabula Printed in Great Britain    
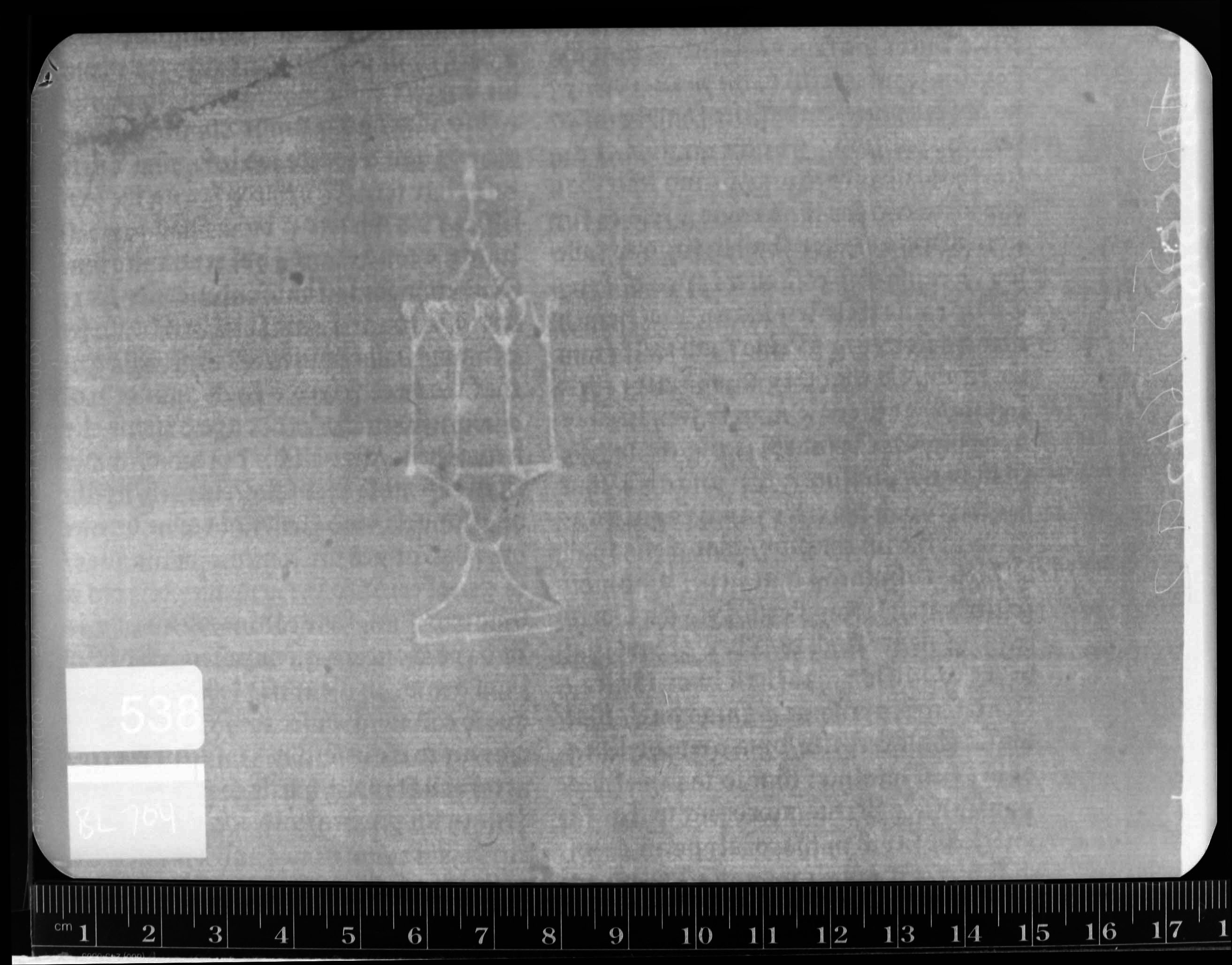
Reference number: 538
Watermark description: reliquary
Bernstein description: symbols/insignia - monstrance - reliquary
Mainclass IPH: S
Maingroup description: reliquary
Position: right
Identical watermarks:

Reproduction: beta-radiograph

Depository: British Library, London, Great Britain
Place of printing: [Westminster]
Date: 1493, 20 May
Year: 1493 -1493
Printer: [Wynkyn de Worde]
Shelfmark: BL IB.55161
Folio: a2
Papersize: chancery
Size: fo
Number of leaves: 436
Number of sheets: 218
Bibliographic references: Duff 410

The research was conducted by Paul Needham (Princeton, Scheide Library). The project was funded by the Bibliographical Society (London). The data were inserted in the database by Janneke Verdijk under supervision of Gerard van Thienen, with advisory support of Marieke van Delft (TheHague, KB). The web presentation was implemented by Emanuel Wenger (Vienna, ÖAW).