Bibliographic Society The Scheide Library Koninklijke Bibliotheek

    WIGB - Watermarks in Incunabula Printed in Great Britain    
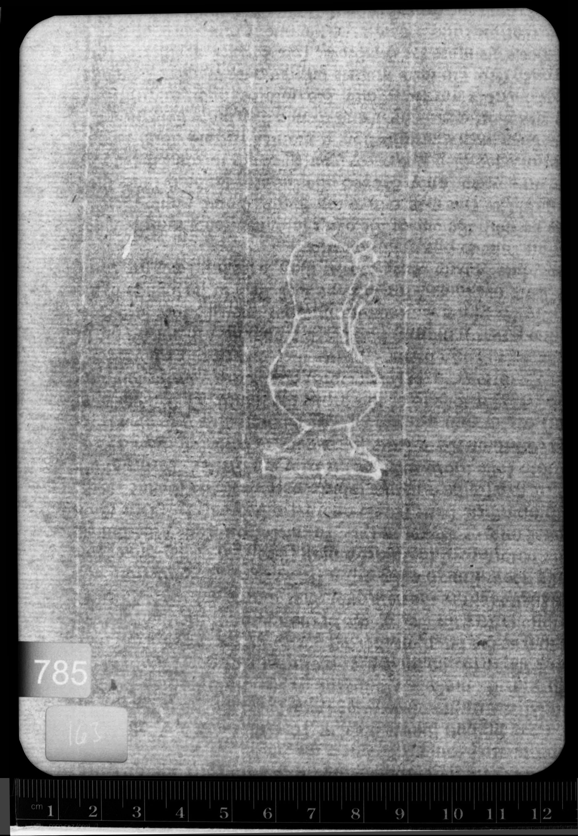
Reference number: 785
Watermark description: pot, large, double line ear right
Bernstein description: realities - drinking vessel - pot - large - double line ear right
Mainclass IPH: P
Maingroup description: pot
Position: left
Identical watermarks: BMC XI 419: Caxton 114; BMC XI 420: Caxton 140, 142, 145, 146, 147, 148, 154; BMC XI 421: Caxton 158, 159, 160, 161, 162, 163, 164, 165, 166, 167, 168, 169, 170, 171, 172,173, 174, 175, 176, 177, 178, 179, 180, 181

Reproduction: beta-radiograph

Depository: Pierpont Morgan Library, New York, U.S.A.
Place of printing: Westminster
Date: 1485, 31 Jul
Year: 1485 -1485
Printer: William Caxton
Shelfmark: PML
Folio: R3
Papersize: chancery
Size: fo
Number of leaves: 432
Number of sheets: 216
Bibliographic references: Duff 283

The research was conducted by Paul Needham (Princeton, Scheide Library). The project was funded by the Bibliographical Society (London). The data were inserted in the database by Janneke Verdijk under supervision of Gerard van Thienen, with advisory support of Marieke van Delft (TheHague, KB). The web presentation was implemented by Emanuel Wenger (Vienna, ÖAW).