Bibliographic Society The Scheide Library Koninklijke Bibliotheek

    WIGB - Watermarks in Incunabula Printed in Great Britain    
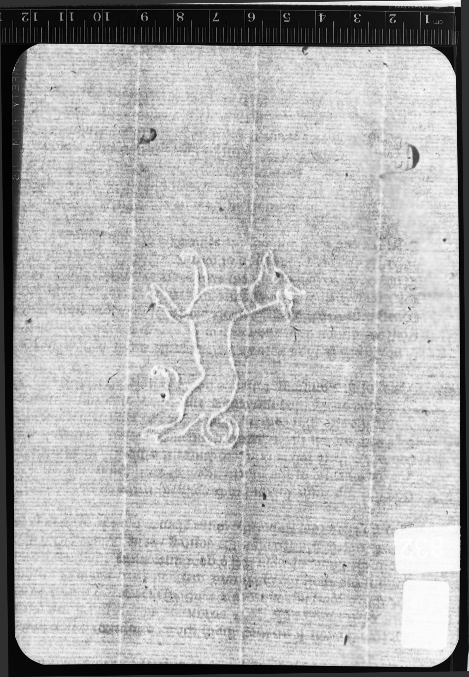
Reference number: 832
Watermark description: dog, double line tail, to left
Bernstein description: fauna - tetrapod - dog - double line tail - to left
Mainclass IPH: C
Maingroup description: dog
Position: left
Identical watermarks: BMC XI 420: Caxton 134, 135, 136, 137, 139, 140, 141, 143

Reproduction: beta-radiograph

Depository: Pierpont Morgan Library, New York, U.S.A.
Place of printing: [Westminster]
Date deduced: [1483]
Year: 1483 -1483
Printer: William Caxton
Shelfmark: PML
Folio: h8
Papersize: chancery
Size: fo
Number of leaves: 96
Number of sheets: 48
Bibliographic references: Duff 266

The research was conducted by Paul Needham (Princeton, Scheide Library). The project was funded by the Bibliographical Society (London). The data were inserted in the database by Janneke Verdijk under supervision of Gerard van Thienen, with advisory support of Marieke van Delft (TheHague, KB). The web presentation was implemented by Emanuel Wenger (Vienna, ÖAW).