Bibliographic Society The Scheide Library Koninklijke Bibliotheek

    WIGB - Watermarks in Incunabula Printed in Great Britain    
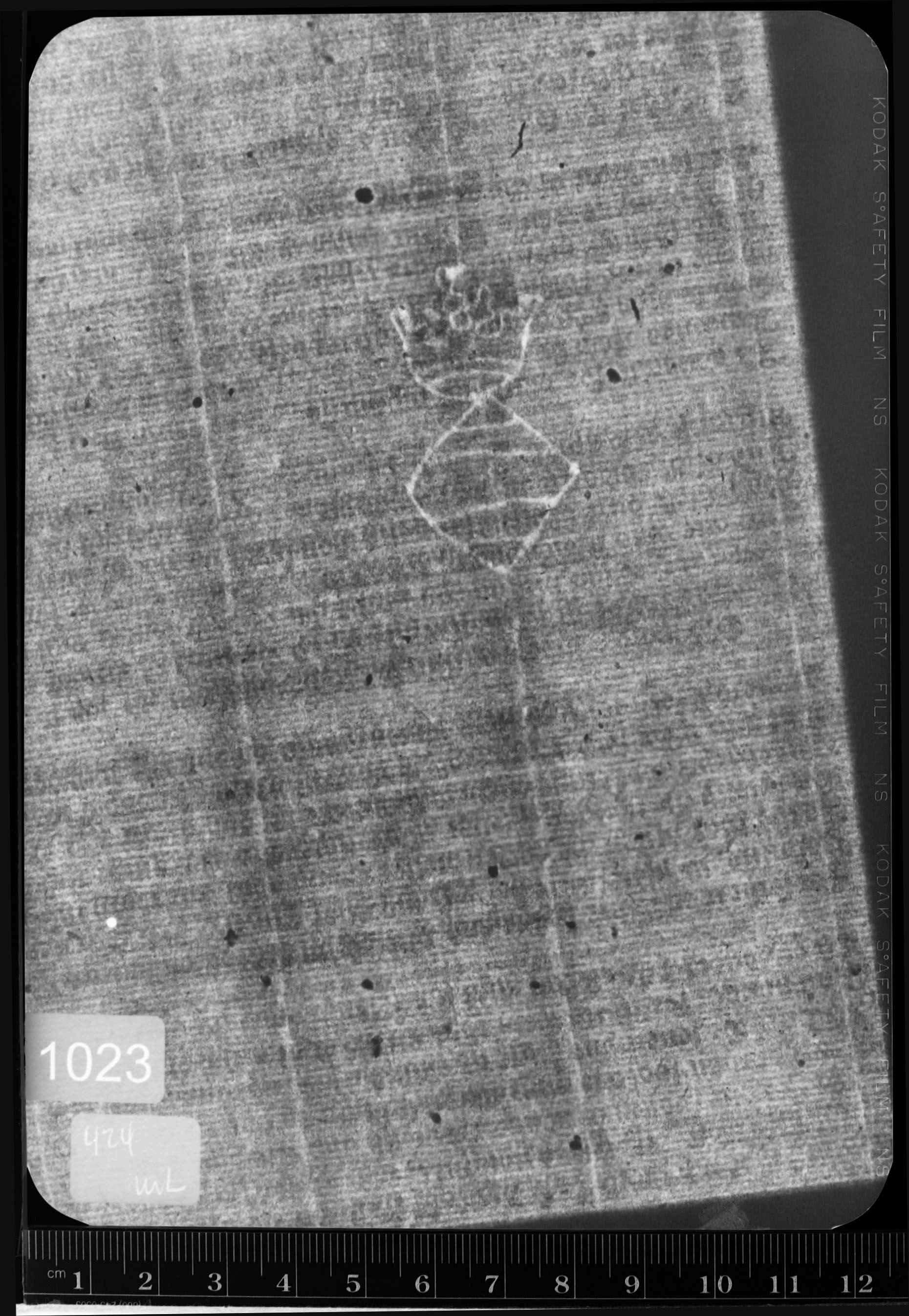
Reference number: 1023
Watermark description: shield, horizontal lines, crown, III (Catalonia)
Bernstein description: coat of arms - national coats of arms - shield - horizontal lines - crown - III (Catalonia)
Mainclass IPH: T
Maingroup description: shield
Position: left
Identical watermarks: BMC XI 327, fig. 8; WIES, IBE 1202.04; BMC XI 420: Caxton 134, 136, 139, 140, 141, 144, 145, 146, 147, 148

Reproduction: beta-radiograph

Depository: Pierpont Morgan Library, New York, U.S.A.
Place of printing: Westminster
Date: 1483, 6 Jun
Year: 1483 -1483
Printer: William Caxton
Shelfmark: PML
Folio: b3
Papersize: chancery
Size: fo
Number of leaves: 114
Number of sheets: 57
Bibliographic references: Duff 267

The research was conducted by Paul Needham (Princeton, Scheide Library). The project was funded by the Bibliographical Society (London). The data were inserted in the database by Janneke Verdijk under supervision of Gerard van Thienen, with advisory support of Marieke van Delft (TheHague, KB). The web presentation was implemented by Emanuel Wenger (Vienna, ÖAW).