Bibliographic Society The Scheide Library Koninklijke Bibliotheek

    WIGB - Watermarks in Incunabula Printed in Great Britain    
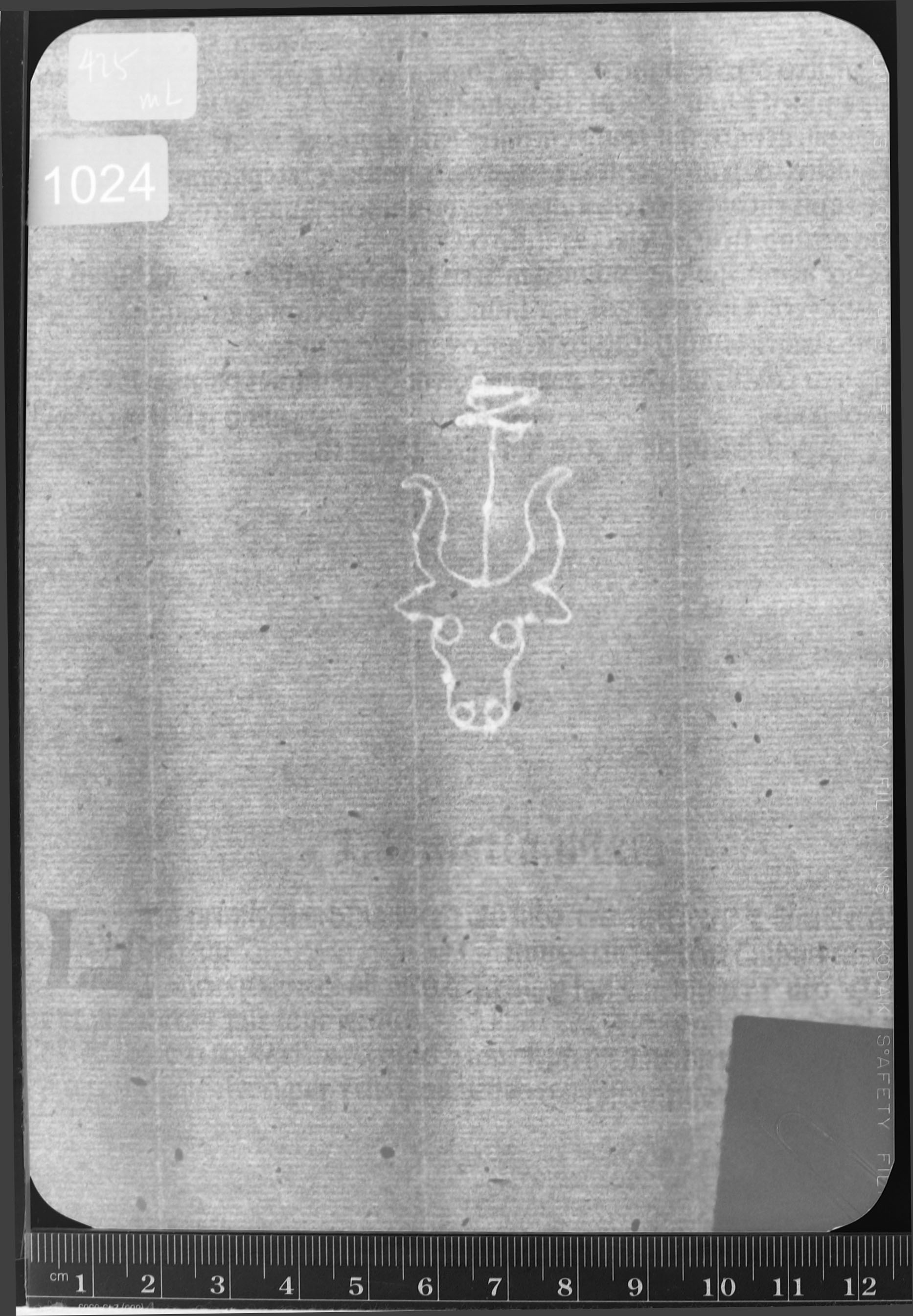
Reference number: 1024
Watermark description: Bull's Head, letter Z
Bernstein description: fauna - tetrapod - ox - bull's head - letter Z
Mainclass IPH: C
Maingroup description: bull
Identical watermarks: BMC XI 424: Early London 21, 22, 23, 24, 25, 26, 27, 28, 29

Reproduction: beta-radiograph

Depository: Pierpont Morgan Library, New York, U.S.A.
Place of printing: [London]
Date deduced: [between Mar 1483 and May 1485]
Year: 1483 -1485
Printer: [John Lettou and William de Machlinia]
Shelfmark: PML
Folio: C4
Papersize: chancery
Size: fo
Number of leaves: 370
Number of sheets: 185
Bibliographic references: Duff 378

The research was conducted by Paul Needham (Princeton, Scheide Library). The project was funded by the Bibliographical Society (London). The data were inserted in the database by Janneke Verdijk under supervision of Gerard van Thienen, with advisory support of Marieke van Delft (TheHague, KB). The web presentation was implemented by Emanuel Wenger (Vienna, ÖAW).